Want to become
a cardholder? >>
Membership
requirements >>




 


Lake Stevens, Washington

CFNnet

Shell - Lochsloy Store/
Associated Petroleum

#5026

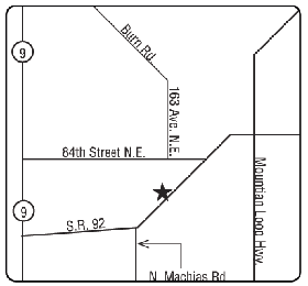
6410 S.R. 92

Eastbd. S.R. 92: Shell site is located on the left.

POS AF MUL O P CS PP A H2O R RR CAM


 



Account & Card Info | Member Store | Advertising | Human Resources
Home | CFN Mobile Fueling Network | Become a Cardholder
Contact CFN | About CFNnet | Locations | Site Locator | National Accounts


Advertise on this site >>

©2002 Commercial Fueling Network 650-356-3000 or toll free 800-899-2236